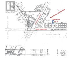
Lot 20 South Grimsby Road 5 West Lincoln, Ontario L0R 2A0
$989,000
This is an incredible investment opportunity in the prime location of Niagara West Lincoln. This spacious residential corner lot, with a 150 ft frontage, is surrounded by new subdivisions and established homes, with extensive development taking place in the area. The land is subject to rezoning R1 to Medium and High-Density RM3, which provides flexibility for various residential developments(multiple fourplexes/triplexes, 4-6-story apartment buildings, condominiums, detached/semi-detached/townhouses, rental units, and retirement residences). This is an excellent opportunity for individual buyers looking to build their dream home on a generously sized lot with 150 ft of frontage. It is an amazing demanded area, less than 30 minutes to Niagara Falls and the U.S. border, close to major cities like St. Catharines, Hamilton, Burlington, Oakville, Guelph, and Mississauga. All essential services are conveniently located along South Grimsby Rd 5, with easy access to amenities, shopping, schools, transit, and recreation centers. Don't miss this unique opportunity to build in a thriving community! **EXTRAS** The land qualifies for a zoning change to High Density (RM3), ideal for various developments. Buyers must conduct due diligence, secure permits, and verify all info independently. Deposit cheque to be certified. (id:50886)
Business
| Business Type | Residential |
| Business Sub Type | Residential |
Property Details
| MLS® Number | X10405958 |
| Property Type | Vacant Land |
| Community Name | 057 - Smithville |
| Amenities Near By | Public Transit, Recreation |
Building
| Size Interior | 19,800 Ft2 |
| Utility Water | Municipal Water |
Land
| Acreage | No |
| Land Amenities | Public Transit, Recreation |
| Sewer | Sanitary Sewer |
| Size Depth | 132 Ft |
| Size Frontage | 150 Ft |
| Size Irregular | 150 X 132 Ft |
| Size Total Text | 150 X 132 Ft |
| Zoning Description | Residential |
Contact Us
Contact us for more information
Homayun Afzalzada
Salesperson
1945 Leslie Street
Toronto, Ontario M3B 2M3
(416) 383-1828
(416) 383-1821























