1074 Niagara Stone Road Niagara-On-The-Lake, Ontario L0S 1J0
$4,500,000
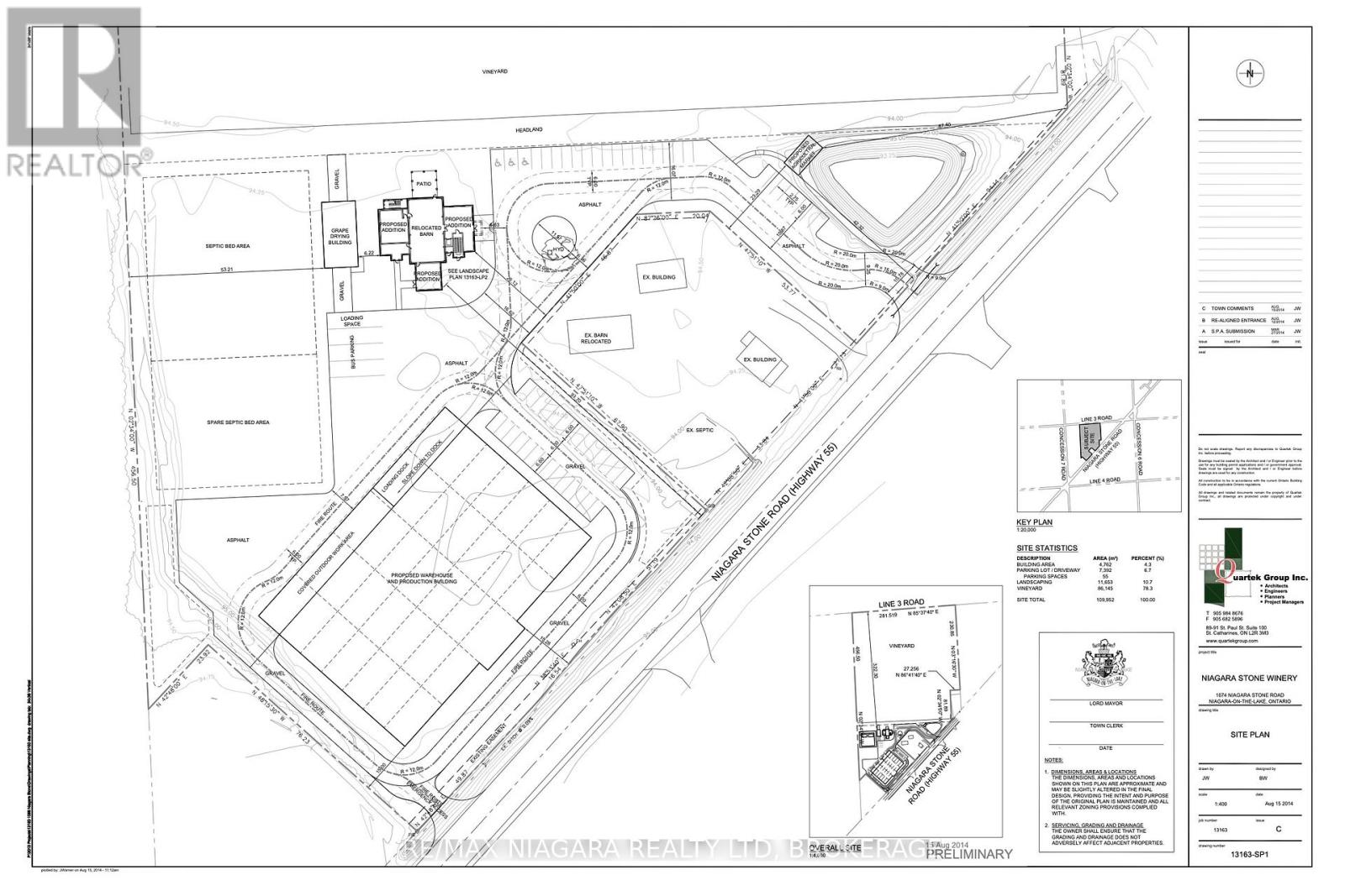
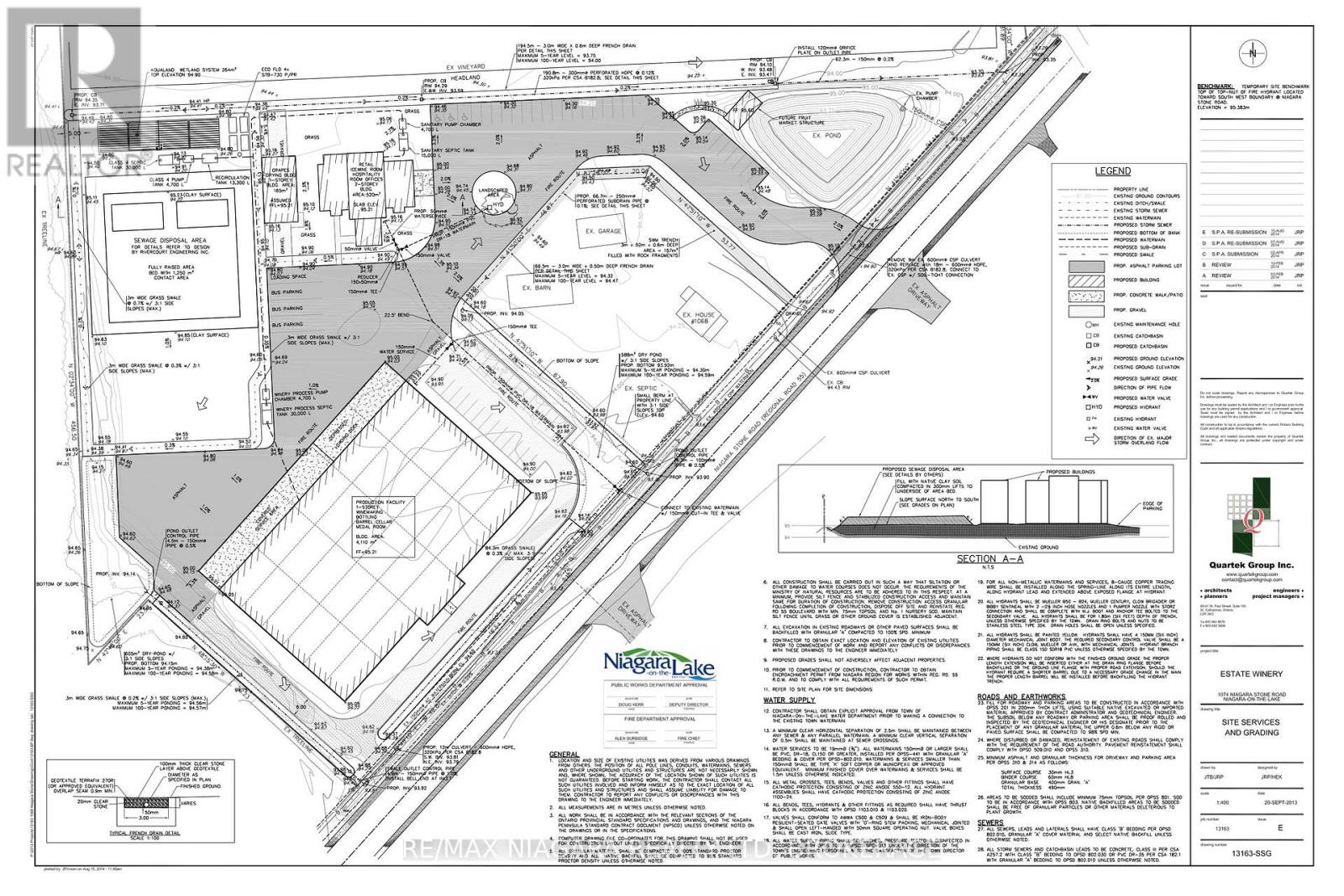
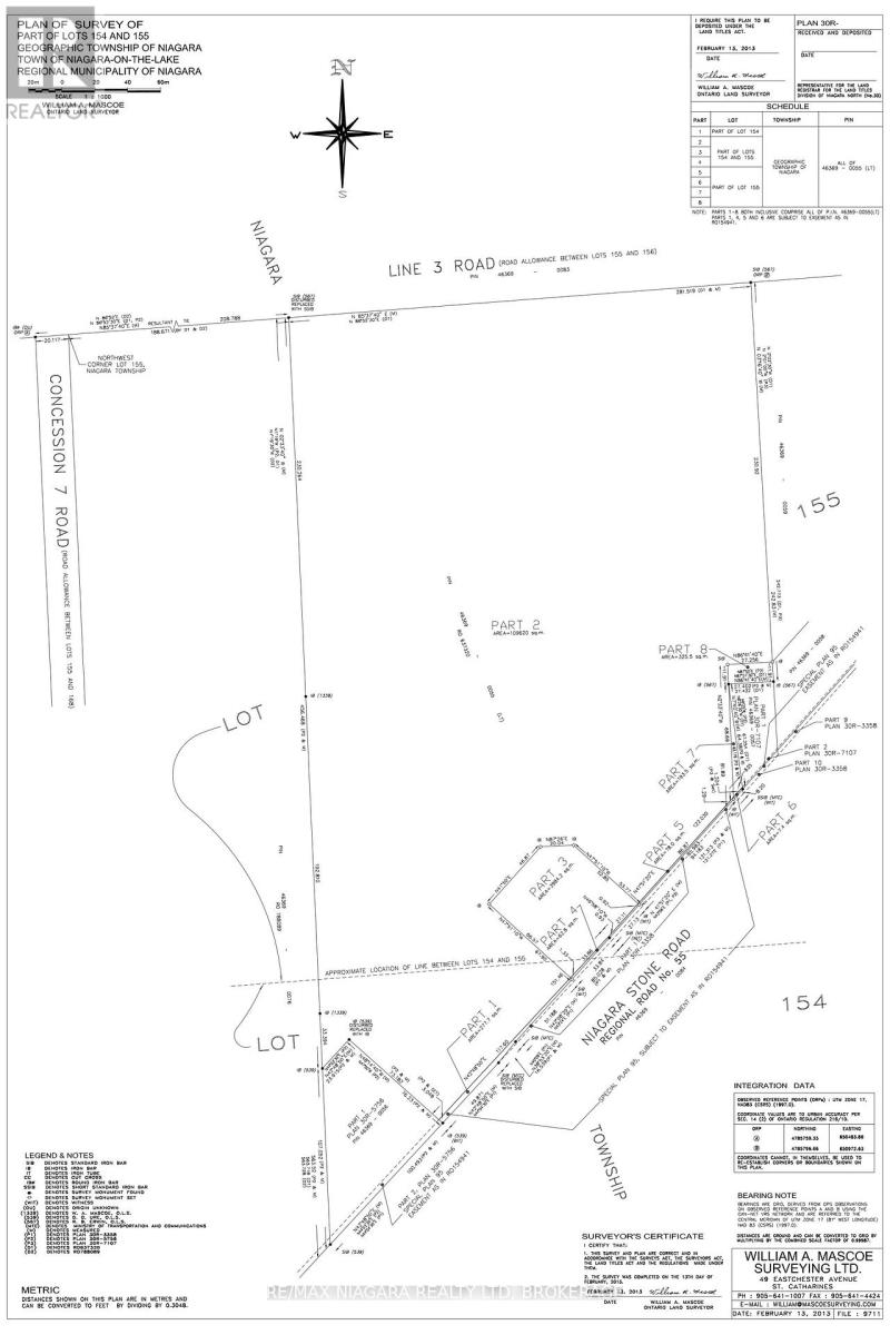
Presenting an exceptional opportunity to acquire a 27-acre parcel at 1074 Niagara Stone Road in the heart of Niagara-on-the-Lake. This prime piece of real estate is strategically situated on a major thoroughfare, surrounded by renowned wineries, and benefits from substantial tourist traffic.Size & Location: Spanning 27 acres, this expansive lot offers ample space for various developments. Its prime location on Niagara Stone Road ensures high visibility and accessibility.Development Potential: Architectural plans for a potential winery are available, providing a head start for visionary investors looking to establish a landmark estate winery in one of Canadas most celebrated wine regions.Surrounding Attractions: Nestled amidst established wineries, the property is perfectly positioned to attract wine enthusiasts and tourists, enhancing its appeal for a winery venture.This property represents a rare chance to develop a bespoke estate winery in a prestigious location, with existing plans that align with the towns vision for the area. Whether youre an investor or an entrepreneur in the wine industry, 1074 Niagara Stone Road offers unparalleled potential to create a distinguished presence in Niagara-on-the-Lakes vibrant wine community. (id:50886)
Property Details
| MLS® Number | X11949919 | 
| Property Type | Vacant Land | 
| Community Name | 102 - Lakeshore | 
| Farm Type | Other | 
Building
| Size Interior | 27 Acres | 
Land
| Acreage | Yes | 
| Size Irregular | 27.28 | 
| Size Total | 27.28 Ac | 
| Size Total Text | 27.28 Ac | 
| Zoning Description | Apo - Site Specific Zone | 
Contact Us
Contact us for more information
							
															Greg Sykes
							
							
															Salesperson
							
						
261 Martindale Road Unit 12a
St. Catharines, Ontario L2W 1A2
						(905) 687-9600
(905) 687-9494
www.remaxniagara.ca/
						
 
 			 






















































