1098 Twin Sisters Lake Road N Marmora And Lake, Ontario K0K 2M0
0 - 699 ft2
Waterfront
Acreage
$399,900
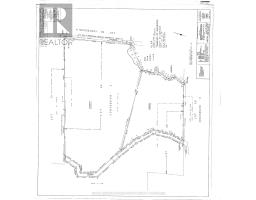
Discover the perfect blend of privacy and adventure on this exceptional 59+ acre property surrounded by mature forest. Enjoy your own private pond teeming with bass and musky, plus direct lakefront access to East Twin Sisters Lake. Located on a municipally maintained, year-round road, this is an ideal spot to fish, hunt, explore or build your dream getaway. Opportunities like this are rare-come experience the beauty and tranquility of this unique property before it's gone. (id:50886)
Property Details
| MLS® Number | X12169897 |
| Property Type | Vacant Land |
| Community Name | Marmora Ward |
| Amenities Near By | Park, Schools |
| Easement | Easement, None |
| Features | Irregular Lot Size, Sloping, Rolling |
| Parking Space Total | 6 |
| View Type | Direct Water View |
| Water Front Type | Waterfront |
Building
| Size Interior | 0 - 699 Ft2 |
| Utility Water | Unknown |
Parking
| No Garage |
Land
| Access Type | Year-round Access |
| Acreage | Yes |
| Land Amenities | Park, Schools |
| Size Depth | 2343 Ft |
| Size Frontage | 1315 Ft |
| Size Irregular | 1315 X 2343 Ft ; Irregular Shape |
| Size Total Text | 1315 X 2343 Ft ; Irregular Shape|50 - 100 Acres |
| Zoning Description | Ru/sr |
Contact Us
Contact us for more information
Mary Provost
Salesperson
(613) 922-6180
Royal LePage Proalliance Realty
388 Glen Allen Road, Unit Rr#1
Marmora, Ontario K0K 2M0
388 Glen Allen Road, Unit Rr#1
Marmora, Ontario K0K 2M0
(613) 472-1668
(613) 472-1856
www.discoverroyallepage.com/





























