14 Greengage Road Clearview, Ontario L0M 1N0

3 Acres
None No Heat Acreage

$1,995,000

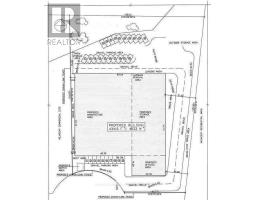
2.56 Acres Of Land With Industrial Zoning Includes Food Processing Establishment, Bakeries, Dairy Products Plant, Wineries, Breweries, Warehouses, Assembly Halls, Towing Compound, Adult Entertainment Business, Sawmill, Lumber Yard And More. Pre-Consultation Schematic Building Plan Up To 43,000 Sq Ft., Height Of Principal Building 18 M. Municipal Water, Hydro And Gas On Line! Short Access To Hwy 400! Close To Barrie! / Attention! 0.14 Acres Of Land Are Environment Protection Restrictions Do Not Allow Construction, Outside Storage or Parking, BLUE COLOUR In The Picture #1/. (id:50886)

Property Details

MLS® Number S12404236
Property Type Industrial
Community Name New Lowell

Building

Cooling Type None
Heating Type No Heat
Size Interior 3 Acres
Utility Water Municipal Water

Land

Acreage Yes
Size Depth 774 Ft ,2 In
Size Frontage 144 Ft
Size Irregular 2.56
Size Total 2.56 Ac
Size Total Text 2.56 Ac
Zoning Description Industrial Mr-4

https://www.realtor.ca/real-estate/28863877/14-greengage-road-clearview-new-lowell-new-lowell

Contact Us

Contact us for more information

Generating Captcha

Anatoly Blokhin
Salesperson

(647) 288-9422

Right At Home Realty Investments Group
895 Don Mills Rd #401 B2
Toronto, Ontario M3C 1W3

(647) 288-9422

Your Favourites

 

No Favourites Found