5 - 25 Church Street W Woolwich, Ontario N3B 1M2
$18 / ft2
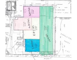
Prime Commercial Lease Opportunity in Elmira An exciting opportunity is available in one of Elmiras most visible and high-traffic locations. This commercial property, zoned C1 for maximum flexibility, is currently undergoing modern renovations that will transform the space into a fresh and contemporary environment. The upgrades are designed to enhance both the interior and exterior, creating an inviting setting for retail, office, restaurant, fitness, medical, and a wide range of professional uses. A key advantage of this property is that it offers multiple unit sizes and configurations, making it adaptable to businesses both large and small. Its excellent street exposure provides outstanding visibility, while the thriving commercial corridor ensures consistent traffic and a supportive business environment. Leasing now allows tenants to secure space in this prime location as the renovations progress, with the opportunity to select a size and layout best suited to their needs. (id:50886)
Property Details
| MLS® Number | X12450364 |
| Property Type | Retail |
Building
| Cooling Type | None |
| Heating Type | Other |
| Size Interior | 1,620 Ft2 |
| Utility Water | Municipal Water |
Land
| Acreage | No |
| Size Frontage | 170 Ft |
| Size Irregular | Unit=170.02 Ft |
| Size Total Text | Unit=170.02 Ft |
| Zoning Description | C1 |
https://www.realtor.ca/real-estate/28963139/5-25-church-street-w-woolwich
Contact Us
Contact us for more information
David Schooley
Broker
901 Victoria Street N Unit B
Kitchener, Ontario N2B 3C3
(519) 579-4110
www.remaxtwincity.com/





