587 Henderson Road Pelee Island, Ontario N0R 1M0
$650,000
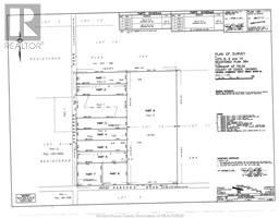
This 16 acre parcel located in the interior of Pelee Island - a quick 7 minute ride from the ferry is waiting for your and your imagination! Driveway is already installed at this 12 acres of treed bush(+ 4 acres workable land). With 2.5 km of spacious trails carved throughout the property - it's your own piece of nature. Water well (25ft w/6 inch casing on property). See attached 'Plan of Survey' for proposed severance. Pelee Island is located in the western half of Lake Erie. It's the largest island in Lake Erie and the southernmost populated point in Canada. Buyer to perform due diligence and verify all building requirements/plans/severance with the Town of Pelee and Essex Region Conservation Authority/Environmental Advisory Committee. Start your research at pelee.org today! (id:50886)
Property Details
| MLS® Number | 25011296 |
| Property Type | Vacant Land |
| Amenities Near By | Recreation Nearby |
Building
| Type | No Building |
Land
| Acreage | No |
| Land Amenities | Recreation Nearby |
| Size Irregular | 599 Ft X Irreg / 16.142 Ac |
| Size Total Text | 599 Ft X Irreg / 16.142 Ac |
| Zoning Description | R1-agr |
https://www.realtor.ca/real-estate/28266499/587-henderson-road-pelee-island
Contact Us
Contact us for more information
Karrie Sundin
Sales Person
(519) 733-2044
rlpbinder.ca/agent/karrie-sundin/
23 Main St East
Kingsville, Ontario N9Y 1A1
(519) 733-1028
(519) 733-2044





























