6 Dunn Street Lion's Head, Ontario N0H 1W0
$199,000
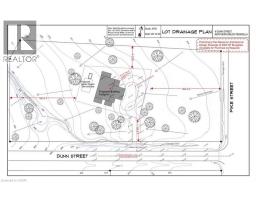
For more information, please click the Brochure button below. Welcome to your blank canvas for building your dream home or investment property! Located in the picturesque (Little Pike Bay) in Northern Bruce Peninsula, this vacant land offers the perfect setting for your vision to come to life. Located on a quiet street with limited neighbours. If you are looking for that serene location, this wooded property is for you. Trade in the noise of traffic and neighbours for bird song. Here's what this exceptional property has to offer: Property Lines Determined: With clear demarcations, you'll know exactly where your land begins and ends, providing peace of mind and ease of planning. Complete Drainage Plan and Elevations: No need to worry about water management - a comprehensive drainage plan & elevations are already in place, ensuring optimal site conditions. Building Envelope Determined: The preliminary building envelope has been meticulously determined, offering guidance & possibilities for your construction project. Access permit has been obtained. Electrical Pole across the street from the driveway. This will provide the property with power without having to pay for additional poles. Architectural Design Drawings: Take advantage of the opportunity to kickstart your project with ease. Architectural design drawings for a stunning 2,000 square foot bungalow have already been developed. These plans are available (not included), saving you time and effort in the planning process. Municipal Services: Dunn Street is a municipal road that will provide your property with road snow removal, garbage and recycling pick up, and postal mailbox service. Whether you're looking to build your forever home, a vacation retreat, or an investment property, this vacant land provides the ideal foundation for your aspirations. Don't miss out on this rare opportunity to create something truly special in the heart of Northern Bruce Peninsula. Make your dream a reality. (id:50886)
Property Details
| MLS® Number | 40632758 |
| Property Type | Vacant Land |
| Features | Southern Exposure, Rocky, Country Residential, Recreational |
Building
| Basement Type | None |
| Utility Water | Unknown |
Land
| Access Type | Road Access |
| Acreage | Yes |
| Sewer | No Sewage System |
| Size Depth | 220 Ft |
| Size Frontage | 480 Ft |
| Size Irregular | 2.45 |
| Size Total | 2.45 Ac|2 - 4.99 Acres |
| Size Total Text | 2.45 Ac|2 - 4.99 Acres |
| Soil Type | Stones |
| Zoning Description | R2 |
https://www.realtor.ca/real-estate/27283797/6-dunn-street-lions-head
Contact Us
Contact us for more information
Sophie Alegra Giterman
Broker of Record
750 Randolph Ave.
Windsor, Ontario N9B 2T8
(888) 323-1998
easylistrealty.ca/



























































