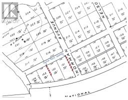
Lot 152 Plan M222 Minaki, Ontario P0X 1J0
$20,000
Vacant treed lot on titled land located in the Minaki townsite. Suitable for a camper or RV. .76 of an acre with 134' south facing frontage. There are marinas for boat docking, a convenience store, Community Centre and a seasonal restaurant. The road is not currently developed right to this site and therefore further development will be required for access. Hydro is available nearby. There is no time line for development. This area is unorganized and taxes are currently $116.00 annually. 13% HST and Ontario Land Transfer tax ($100.00 based on $20k)) applies to the purchase price. (id:50886)
Property Details
| MLS® Number | TB250065 |
| Property Type | Vacant Land |
| Community Name | Minaki |
Building
Land
| Acreage | No |
| Size Frontage | 134.0000 |
| Size Total Text | 1/2 - 1 Acre |
https://www.realtor.ca/real-estate/27795540/lot-152-plan-m222-minaki-minaki
Contact Us
Contact us for more information
Greg Kirby
Broker
www.gregkirby.ca/
846 Macdonell St
Thunder Bay, Ontario P7B 5J1
(807) 344-5700
(807) 346-4037
WWW.REMAX-THUNDERBAY.COM







































































