Part 1 - 0 Monck Road Kawartha Lakes, Ontario K0M 1X0
$139,000
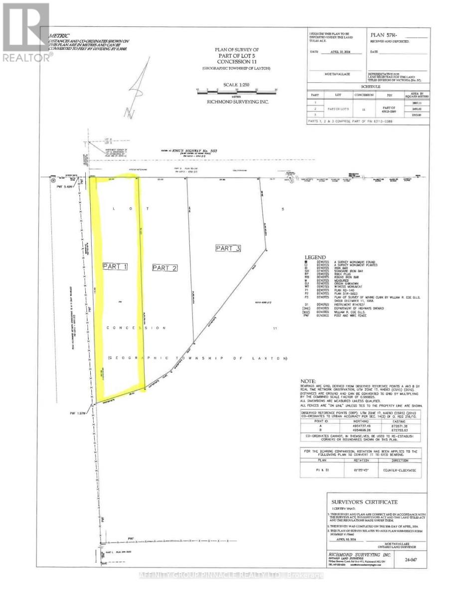
0.71 Acre building lot. Part 1 of 3 recently severed and registered lots at the edge of Norland. End lot that offers exposure to surrounding nature with mixed bush and landscape. Highway exposure for great commuting and easy access. Easy drive to Minden, Orillia and Lindsay. 1 hr 45 minutes to Toronto. Roll number and PIN to be assigned by City of Kawartha Lakes. All assessments hydrological, geotechnical, and environmental impact study, and signed off from Kawartha Conservation has been completed. (id:50886)
Property Details
| MLS® Number | X12429719 | 
| Property Type | Vacant Land | 
| Community Name | Laxton/Digby/Longford | 
| Features | Irregular Lot Size | 
Building
Land
| Acreage | No | 
| Size Depth | 115.88 M | 
| Size Frontage | 25 M | 
| Size Irregular | 25 X 115.88 M | 
| Size Total Text | 25 X 115.88 M|1/2 - 1.99 Acres | 
| Zoning Description | R1 | 
Utilities
| Electricity | Available | 
Contact Us
Contact us for more information
							
															Shawn William Wray
							
							
															Salesperson
							
						
							
															Affinity Group Pinnacle Realty Ltd.
273 Kent St.w Unit B
Lindsay, Ontario K9V 2Z8
						273 Kent St.w Unit B
Lindsay, Ontario K9V 2Z8
						(705) 324-2552
(705) 324-2378
www.affinitygrouppinnacle.ca
						
 
 			 
















