Part 2 Plan 3r-10841 Turner Street Saugeen Shores, Ontario N0H 2L0
$279,000
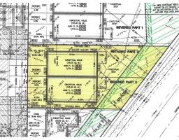
One of two unique building opportunities in Southampton's desirable north end. This fully serviced vacant lot is primed for a pair of semi-detached homes, just a short stroll from Lake Huron access. Only minutes from the grocery store, golf course, boat launch, the scenic Saugeen River, and Southampton's main beach, and charming downtown core not far away. The 67 ft frontage along Turner Street offers depths of 150 ft (north boundary) and 100 ft (south boundary). The proposed building envelope supports two efficient semi-detached residences with an overall footprint of 1456sqft each, while a thoughtful tree retention plan along the rear preserves mature greenery for privacy and natural appeal. Water, sewer, natural gas, and hydro are at the roadside with development fees already paid-streamlining the process for your build. Ideal for builders, investors, or families: build then live in one and rent/sell the other, build and sell both, or create a multi-generational retreat. The adjacent lot to the North is also for sale and ready for another pair of semi's. HST in addition to the price. (id:50886)
Property Details
| MLS® Number | X12547478 |
| Property Type | Vacant Land |
| Community Name | Saugeen Shores |
| Amenities Near By | Hospital, Schools |
| Community Features | School Bus |
| Features | Irregular Lot Size, Partially Cleared, Level |
Building
| Utility Water | Municipal Water |
Land
| Access Type | Year-round Access |
| Acreage | No |
| Land Amenities | Hospital, Schools |
| Sewer | Sanitary Sewer |
| Size Depth | 100 Ft ,7 In |
| Size Frontage | 67 Ft |
| Size Irregular | 67 X 100.65 Ft ; Depth Is Shorter South Lot Line. |
| Size Total Text | 67 X 100.65 Ft ; Depth Is Shorter South Lot Line.|under 1/2 Acre |
| Zoning Description | R1-93 |
Utilities
| Cable | Available |
| Electricity | Available |
| Sewer | Installed |
Contact Us
Contact us for more information
Dan Graham
Salesperson
181 High St
Southampton, Ontario N0H 2L0
(519) 797-5500
www.mcintee.ca/











